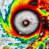
Jamaica está en máxima alerta ante la llegada del huracán Melissa, que alcanzó la categoría 5, la más alta en la escala Saffir-Simpson, confirmó la NASA.
El ciclón tiene vientos sostenidos superiores a 250 kilómetros por hora, lluvias torrenciales y oleaje extremo. Avanza lentamente por las cálidas aguas del Caribe, lo que aumenta su fuerza y el tiempo que afectará a la isla.
Melissa se ubica al sur-suroeste de Jamaica y se espera que impacte la isla durante la mañana del martes, según el Centro Nacional de Huracanes de Estados Unidos (NHC). Su lento desplazamiento a apenas 5-8 km/h agrava el riesgo de inundaciones, deslaves y daños graves, especialmente en zonas costeras y montañosas.
Los huracanes categoría 5 causan daños “catastróficos”: casas sin techos, caída generalizada de postes eléctricos y árboles, pérdida de viviendas ligeras y marejadas que pueden penetrar kilómetros tierra adentro.
Ante esta amenaza, el gobierno jamaicano activó operativos de emergencia, abrió refugios, cerró aeropuertos y ordenó evacuaciones preventivas en áreas vulnerables. Las autoridades llaman a asegurar viviendas, reunir provisiones básicas y evitar las costas.
Las lluvias continuas también hacen temer deslizamientos en zonas montañosas. La prioridad oficial es salvar vidas ante un fenómeno que podría dejar secuelas profundas en la isla.
Melissa también avanzará hacia Cuba y luego a las Bahamas, pero por ahora el foco está en Jamaica, donde la población se prepara para enfrentar uno de los huracanes más intensos en su historia reciente.


































