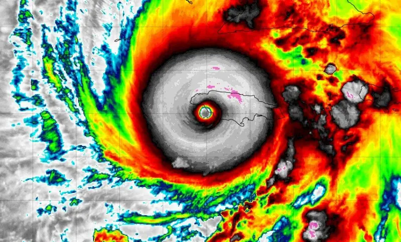
El huracán Melissa tocó tierra esta mañana en el suroeste de Jamaica, cerca de New Hope, como un ciclón de categoría 5 con vientos sostenidos de 295 km/h y ráfagas que alcanzaron 360 km/h. El Centro Nacional de Huracanes confirmó que Melissa tiene una presión central estimada en 892 mb, uno de los valores más bajos registrados en la historia del Atlántico, hecho que lo convierte en uno de los más potentes en tocar esta región.
Las autoridades locales y meteorológicas alertaron sobre una situación “extremadamente peligrosa y potencialmente mortal”. Se prevén oleajes de entre 2.75 y 4 metros en la costa sur de Jamaica, además de deslizamientos de tierra y cortes generalizados de energía eléctrica conforme el ojo del huracán cruza la isla de sur a norte.
La Organización Meteorológica Mundial calificó a Melissa como un evento sin precedentes en la memoria reciente de Jamaica, destacando que es el huracán más poderoso que ha amenazado la isla en 174 años. El nivel de destrucción e impacto se compara con huracanes históricos como María en Puerto Rico en 2017 y Katrina en Nueva Orleans en 2005.
Especialistas del Centro Nacional de Huracanes destacaron que Melissa es el segundo huracán más fuerte registrado en la historia por esta institución, solo detrás del huracán del “Día del Trabajo” de 1935. Su fuerza y velocidad de desplazamiento tienen en alerta máxima a toda la región del Caribe, mientras sigue rumbo a Cuba.
Hasta ahora, se reportan numerosos deslizamientos, árboles caídos y apagones masivos en distintas comunidades. Las autoridades ya advirtieron que la evaluación de daño será lenta debido a la magnitud del fenómeno. Se recomienda a la población mantener precaución y seguir las indicaciones oficiales.
Jamaica enfrenta una de las pruebas más severas de su historia meteorológica moderna, mientras Melissa avanza dejando a su paso un panorama de destrucción.


































